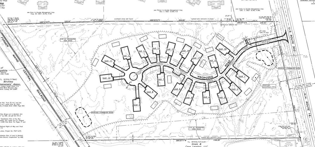
A site plan shows the layout of the Ledgeview Lodges subdivision being built in Intervale north of Ragged Mountain Equipment and south of the Lower Bartlett Water Precinct offices. (COURTESY SCOTT CAMERON)
A site plan shows the layout of the Ledgeview Lodges subdivision being built in Intervale north of Ragged Mountain Equipment and south of the Lower Bartlett Water Precinct offices. (COURTESY SCOTT CAMERON)
BARTLETT — Site work has begun on clearing 19 acres in Intervale off Route 16 just north of the former Scarecrow Pub for a subdivision of 19 single-family homes being built by Ledge View Lodges LLC of Haverhill, Mass.
Company principal Scott Cameron, 41, of Middleton, Mass., told the Sun last week that he received approval from the Bartlett Planning Board on April 4 and also has a permit from the Bartlett Board of Selectmen for boring and for the road plan.
Keep it Clean. Please avoid obscene, vulgar, lewd,
racist or sexually-oriented language. PLEASE TURN OFF YOUR CAPS LOCK. Don't Threaten. Threats of harming another
person will not be tolerated. Be Truthful. Don't knowingly lie about anyone
or anything. Be Nice. No racism, sexism or any sort of -ism
that is degrading to another person. Be Proactive. Use the 'Report' link on
each comment to let us know of abusive posts. Share with Us. We'd love to hear eyewitness
accounts, the history behind an article.
(0) comments
Welcome to the discussion.
Log In
Keep it Clean. Please avoid obscene, vulgar, lewd, racist or sexually-oriented language.
PLEASE TURN OFF YOUR CAPS LOCK.
Don't Threaten. Threats of harming another person will not be tolerated.
Be Truthful. Don't knowingly lie about anyone or anything.
Be Nice. No racism, sexism or any sort of -ism that is degrading to another person.
Be Proactive. Use the 'Report' link on each comment to let us know of abusive posts.
Share with Us. We'd love to hear eyewitness accounts, the history behind an article.