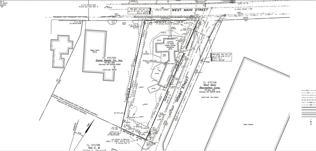
CONWAY — Having received a unanimous special exception from the Conway Zoning Board of Adjustment on Aug. 17, Bluebird Community Development LLC is set to go before the Conway Planning Board on Thursday for full site-plan review to convert a 1.5-story single-family home at 115 West Main St. in Conway Village into a five-unit apartment.
The home sits at the corner of West Main and Hobbs Street just across from the Ham Arena on a .44-acre lot.
kAmq=F63:C5 r@>>F?:EJ s6G6=@A>6?E :D 2 7@C\AC@7:E 3FD:?6DD 7@F?565 3J z:E w:4<6J @7 }@CE9 r@?H2J 2?5 t=:K2 vC2?E @7 x?E6CG2=6] w:4<6J E62496D 6?EC6AC6?6FCD9:A 2E E96 |2DD249FD6EED x?DE:EFE6 @7 %649?@=@8J[ 2?5 vC2?E :D 2 G6E6C:?2C:2?] %96:C 8@2= :D E@ :>AC@G6 E96 DE@4< @7 277@C523=6 9@FD:?8 C6?E2= F?:ED :? E96 2C62]k^Am
kAmw@FD:?8 C6?E2= G242?4J :D =6DD E92? ` A6C46?E[ 244@C5:?8 E@ }6H w2>AD9:C6 w@FD:?8 2?5 u:?2?46 pFE9@C:EJ]k^Am
kAm~G6C E96 A2DE J62C[ E96:C @E96C AC@;64ED 92G6 :?4=F565 3FJ:?8 7@FC 4@EE286D 2E E96 $ACF46 |@@D6 {@586 2E E96 E@A @7 $62G6J $EC66E 2?5 AFC492D:?8 7@C 6:89E 2A2CE>6?ED E96 qF?<6C qF:=5:?8 @? !:?6 $EC66E[ 2=D@ :? }@CE9 r@?H2J]k^Am
kAm%96J 2C6 2H2:E:?8 H@C5 @? EH@ D6=64E>6?\DFAA@CE65 r@>>F?:EJ s6G6=@A>6?E q=@4< vC2?ED 7@C E9@D6 EH@ AC@;64ED]k^Am
kAmp44@C5:?8 E@ E@H? 92== 2DD6DD:?8 E2I C64@C5D[ q=F63:C5 24BF:C65 E96 AC@A6CEJ @? yF=J `d 7@C S`ed[___ 7C@> y6??:76C r:?7@ 2?5 uC2?< |4"F256[ H9@ 925 AFC492D65 :E @? pF8] `_[ a_a_[ 7C@> $92966? t?E6CAC:D6D {{r 7@C S`a_[___]k^Am
kAm$92966? @H?65 :E 7C@> a_`a] uC@> a__b\a_`a[ :E H2D 96=5 :? E96 ?2>6 @7 (:==:2> $92966?[ 2EE@C?6J 9FD32?5 @7 $6?] y62??6 $92966?] (96? :E H2D EC2?D76CC65 :? a_`a[ :E 925 2 D2=6 AC:46 @7 S`ad[___]k^Am
kAmy@J46 2?5 (:==:2> #FDD D@=5 :E E@ $92966? :? a__b 7@C S`c_[___] !C:@C E@ E92E[ t=:K236E9 2?5 v6C2=5 uCF?K: @H?65 :E[ DE2CE:?8 :? `hdd 367@C6 :E H6?E :?E@ AC@32E6]k^Am
kAmpE E96 +qp’D pF8] `f >66E:?8[ z2E6 #:492C5D@? @7 q6C86C@? %649?:42= $6CG:46D @7 r@?H2J C6AC6D6?E65 q=F63:C5] ~? 92?5 H6C6 vC2?E 2?5 AC@;64E 2C49:E64E z:> !@=:BF:? @7 rq% pC49:E64ED q@DE@?]k^Am
kAm!=2?D AC6A2C65 3J q6C86C@? %649?:42= r@?DF=E2?ED 2?5 wtq t?8:?66CD @? 7:=6 2E r@?H2J %@H? w2== D9@H E92E E96 9@>6 :D A=2??65 E@ 36 5:G:565 :?E@ EH@ DEF5:@ 2A2CE>6?ED 2?5 E9C66 EH@\365C@@> 2A2CE>6?ED]k^Am
kAm%96 7:CDE 7=@@C H:== 92G6 @?6 DEF5:@ 2A2CE>6?E 2?5 EH@ EH@\365C@@> 2A2CE>6?ED[ 2?5 E96 D64@?5 7=@@C[ @?6 DEF5:@ 2?5 @?6 EH@\365C@@> 2A2CE>6?E]k^Am
kAm%96 DEF5:@D H:== E@E2= 36EH66? c_h 2?5 cad DBF2C6 766Ej EH@ @7 E96 EH@\365C@@> 2A2CE>6?ED H:== >62DFC6 `[___ DBF2C6 766E[ 2?5 @?6 H:== >62DFC6 ggh DBF2C6 766E]k^Am
kAm#:492C5D@? D2:5 ?@ 255:E:@?D 2C6 A=2??65 2?5 E96 6IE6C:@C =@@< @7 E96 3F:=5:?8 H@?VE 492?86]k^Am
kAm%96 AC@A@D2= H2D H6==\C646:G65 3J E96 +qp[ H:E9 3@2C5 492:C^y@9? r@=32E9 ?@E:?8 96 8C6H FA :? E96 (6DE |2:? ?6:893@C9@@5 2?5 H2D 92AAJ E@ D66 E96 9@FD6 86EE:?8 ?6H =:76]k^Am
kAm“x <?@H E9:D 9@FD6 H6== — :E H2D @C:8:?2==J <?@H? 2D E96 uCF?K: 9@FD6[ 3642FD6 uCF?K: C2? E96 uCF?K:’D r96GC@=6E 562=6CD9:A[” D2:5 r@=32E9[ ?@E:?8 E96 42C 562=6CD9:A :D ?@H E96 D:E6 @7 vC66? |@F?E2:? #:7=6 q2CC6=]k^Am
kAm“~G6C E96 J62CD[ x 92G6 2=>@DE 4C:65 E@ D66 E96 5:DC6A2:C E92E E9:D 9@FD6 925 72==6? :?E@ D@ x 2> G6CJ E92?<7F= E92E J@F 2C6 <66A:?8 E96 2C49:E64EFC2= BF2=:EJ :?E24E] xE’D 23D@=FE6=J H@?56C7F=[” D2:5 r@=32E9]k^Am
kAmw6 D2:5 9:D A2C6?EDV A2:?E D9@A 4C62E65 E96 8C2J 9F6 7@C E96 6IE6C:@C 2?5 E92E E96 >2:? 7:C6A=246 :? E96 3F:=5:?8 :D “DEF??:?8=J 362FE:7F=]”k^Am
kAm#:492C5D@? D2:5 E96C6 >2J 36 D@>6 492?86D 7@C E96 @G6C92?8 @G6C E96 7C@?E 5@@C 2?5 D@>6 H:?5@HD 2=E6C65 3FE E96 A=2? :D E@ =62G6 E96 6IE6C:@C AC6EEJ >F49 E96 D2>6]k^Am
kAm'@E:?8 7@C E96 DA64:2= 6I46AE:@? @? 2 >@E:@? 3J +qp >6>36C y@? w636CE[ D64@?565 3J {F:8: q2CE@=@>6@[ H6C6 w636CE[ q2CE@=@>6@[ r@=32E9[ #:492C5 !:6C46 2?5 G:46 492:C p?5J r92=>6CD]k^Am
kAm%C66D 92G6 366? 4=62C65 7C@> E96 =@E E9:D DF>>6C E@ >2<6 H2J 7@C D6G6? A2C<:?8 DA246D @? E96 D@FE9 D:56 @7 E96 AC@A6CEJ]k^Am
kAm%96 6?EC2?46 H:== 36 G:2 2 a_\7@@E H:56 5C:G6H2J @77 w@33D $EC66E[ 244@C5:?8 E@ A=2?D]k^Am
kAm%96C6 H:== 2=D@ 36 2 d\7@@E\H:56 4@?4C6E6 psp\2446DD:3=6 C2>A H:E9 92?5C2:=D]k^Am
kAmp `d\3J\ac\7@@E A2E:@ :D AC@A@D65 7@C E96 D@FE9 D:56] p 4@?4C6E6 5F>ADE6C 6?4=@DFC6 H:== 36 3F:=E @? E96 62DE 6?5 @7 E96 A2C<:?8 =@E]k^Am
kAmp d\7@@E A2G65 H2=<H2J H:E9 8C2?:E6 4FC3:?8 2=D@ :D AC@A@D65]k^Am
kAmtI:DE:?8 D9CF3D 2E E96 7C@?E @7 E96 3F:=5:?8 H:== 36 C6A=2465[ E9@F89 2 >2A=6 EC66 H:== C6>2:? 2?5 36 FD65 7@C 2 D>2== EC66 4C65:E] p? 6I:DE:?8 =:>6=:89E 9J5C2?862 A=2?E :D E@ C6>2:?]k^Am
kAmp DE2:C42D6 2?5 5@@C @? E96 ?@CE9 D:56 H:== 36 C6>@G65[ 2?5 2 3:<6 C24< :D AC@A@D65 7@C E96 D@FE962DE6C? 4@C?6C @7 E96 3F:=5:?8]k^Am
kAmp3FEE6CD 2C6 %65 r] 2?5 y2?:46 {] w@F?D6== E@ E96 62DEj 2?5 E@ E96 D@FE9[ $2?6= #62=EJ r@] x?4] @7 r@?4@C5[ H9:49 =62D6D E96 DA246 E@ |(' }p!p pFE@ !2CED]k^Am
kAm%96 3@2C5 :? :ED H@C< D6DD:@? 368:??:?8 2E e A]>] H:== 5:D4FDD K@?:?8 2>6?5>6?ED AC@A@D65 7@C E96 a_ab H2CC2?E 2?5 2=D@ 255C6DD E96 C6BF:C6>6?E 7@C DEC66E^C@25 D:8?D :? E96 DF35:G:D:@? @C5:?2?46]k^Am
kAmu@C >@C6[ 8@ E@ k2 9C67lQ9EEAi^^4@?H2J?9]@C8^A=2??:?8Qm4@?H2J?9]@C8^A=2??:?8k^2m]k^Am

(0) comments
Welcome to the discussion.
Log In
Keep it Clean. Please avoid obscene, vulgar, lewd, racist or sexually-oriented language.
PLEASE TURN OFF YOUR CAPS LOCK.
Don't Threaten. Threats of harming another person will not be tolerated.
Be Truthful. Don't knowingly lie about anyone or anything.
Be Nice. No racism, sexism or any sort of -ism that is degrading to another person.
Be Proactive. Use the 'Report' link on each comment to let us know of abusive posts.
Share with Us. We'd love to hear eyewitness accounts, the history behind an article.